
Gallery
Rhinoplasty Before & After
Patient Photos
At Dr. Tina Ho’s practice, we believe in the power of visual storytelling, and our Before & After Gallery is a testament to the incredible transformations our patients experience. We welcome all inquiries with open arms, whether you’re eager to see results from a specific procedure, have questions about what’s possible for you, or simply want to explore your options.
Surgeries performed by Dr. Tina ho, md
Rhinoplasty Before & After
Patient Photos
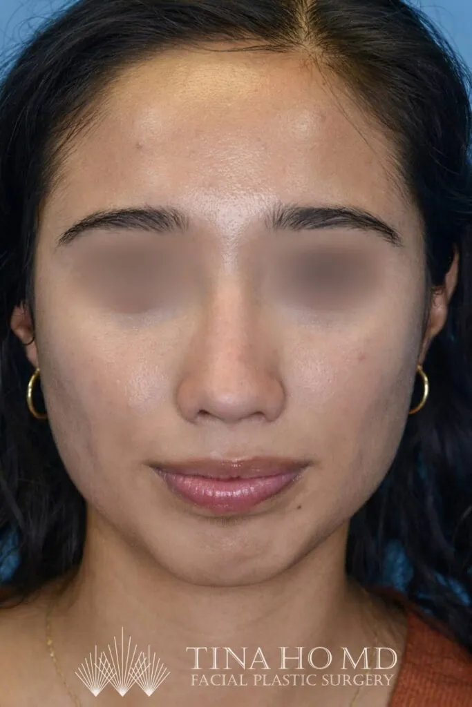
Patient 30850 – Rhinoplasty
26 year-old female who underwent primary open rhinoplasty to lift and refine her nasal tip as well as reduce her dorsal hump

Real Patients, Real Results
Patient Testimonials
- Amazing! Dr. Ho and her team were supportive of me throughout the entire experience. I had lower blepharoplasty with facial fat transfer to remove my heavy under eye bags. At my initial consultation she was patient, knowledgeable, and very sweet. She allowed me ask questions and was be to provide answers to all my questions….
- Dr. Ho is amazing! She completed an upper eyelid lift for me a couple of years ago which turned out amazing! I also see her for regular Botox for my forehead and outer eyes. Jen at her Wayne office has also done two out of three cryo laser facials which have really helped with smoothing…
- Dr. Tina Ho is so kind and down to earth. Her warm disposition speaks volumes . She made me feel confident in her skills and delivered ten fold. She stayed in communication with me pre op, Intra- op and post op. She checked on me and my recovery despite it being a weekend making me…
- I had a Botox treatment with Hannah and she did an amazing job! She was gentle and my Botox looks very natural which was what I was going for. Highly recommend this place!
- Dr. Ho is an exceptional plastic surgeon and person. She completed eyelid surgery on me with precision and compassion. Unbelievably, I incurred a dog bite to the left eye post -op, and the lid was torn- gruesome experience. Dr. Ho – pregnant, came in the middle of the night and worked on the eye for…
- Amazing and comfortable experience with Jen. It was my first medical grade facial and she explained everything as she was doing it. The office is beautiful, clean, and modern. Even though I was not there for a surgical procedure, Dr. Ho took the time and care to greet me as a new patient. I imagine…
4.9 stars rating from 298 reviews

RealSelf
5 stars rating from 168 reviews

Quick Answers to Common Queries
Frequently Asked Questions
Explore our frequently asked questions for helpful information about Dr. Tina Ho’s facial plastic surgery practice, procedures, and patient care.
By focusing on reshaping structures of the neck and head, facial plastic surgeons are able to make a wide range of modifications to body parts. These alterations can be done to the chin, nose, ears, cheekbones, and neckline. Although many people visit a facial plastic surgeon to make cosmetic adjustments to features they would like to change, these surgeons are also a core part of improving the quality of life of those who suffer from diseases or injuries that could affect their appearance.
With the help of a facial plastic surgeon, there are many facial customizations available to you. Patients who come to see Dr. Tina Ho, MD, are generally looking for quality cosmetic surgery in Philadelphia that they can trust.
The cost of facial surgery typically varies, and the price you pay depends on the amount of work that needs to be done. Before your surgical procedure, you willl have a thorough consultation with your surgeon to discuss everything you can expect from your operation.
You may also discuss potential cost estimates. Generally, the cost of plastic surgeries can range anywhere from $3,000 to $10,000 or more.
It’s also important to note that your insurance may or may not assist with the procedure. Insurance coverage for facial plastic surgery typically depends on whether the procedures are for medical or cosmetic purposes. In most cases, your insurance will not cover cosmetic procedures such as plastic surgery, but there are payment plans available that can help you chip away at the total cost of your surgery.
If you are interested in facial plastic surgery, it is essential to fully understand the costs that may be incurred from your procedure before you make the financial commitment. Make sure you speak with your surgeon about what fees you can expect to see and any other important details that may impact how your final cost will be factored. Nevertheless, you may be surprised at the range of fees that can go into plastic surgery, as some operations are much more affordable than others.
At Tina Ho, MD, Facial Plastic Surgery, we strive to offer affordable pricing and top tier facial plastic surgery for our patients in Philadelphia and beyond.
To be eligible for plastic surgery, a patient must be 18 or older. However, to secure a consultation for a facelift or neck lift, there is no age limit. Individuals from their early twenties into their nineties can enjoy all the benefits a facelift or neck lift procedure has to offer.
It is essential to understand that you should be in good health before pursuing a facelift or neck lift, and this can become more challenging as you age. However, the best age to have a facelift or neck lift is different for each person. When the face and neck start to develop sagging skin, wrinkles, crow’s feet, and other signs of aging, this would be the best time to look into a facelift or neck lift procedure. You also want to consider that getting a facelift or neck lift too early on in life can only be so effective and may deliver minimal results.
The cost of facial surgery typically varies, and the price you pay depends on the amount of work that needs to be done. Before your surgical procedure, you willl have a thorough consultation with your surgeon to discuss everything you can expect from your operation.
You may also discuss potential cost estimates. Generally, the cost of plastic surgeries can range anywhere from $3,000 to $10,000 or more.
It’s also important to note that your insurance may or may not assist with the procedure. Insurance coverage for facial plastic surgery typically depends on whether the procedures are for medical or cosmetic purposes. In most cases, your insurance will not cover cosmetic procedures such as plastic surgery, but there are payment plans available that can help you chip away at the total cost of your surgery.
If you are interested in facial plastic surgery, it is essential to fully understand the costs that may be incurred from your procedure before you make the financial commitment. Make sure you speak with your surgeon about what fees you can expect to see and any other important details that may impact how your final cost will be factored. Nevertheless, you may be surprised at the range of fees that can go into plastic surgery, as some operations are much more affordable than others.
At Tina Ho, MD, Facial Plastic Surgery, we strive to offer affordable pricing and top tier facial plastic surgery for our patients in Philadelphia and beyond.
Like most facial plastic surgery operations, costs can generally vary from person to person. A general baseline number you can work off of would be anywhere between $5,000 and $10,000. Then again, this can change drastically based on your location and the surgeon you decide to work with. Some of the costs that are considered for the procedure include anesthesia, medical tests, prescription medication, and surgeon fees.
A few factors that make up the surgeon’s fee generally pertain to their experience, the type of procedure used, and the actual location of the office itself. Unless the nose job is performed for a medical reason, it is unlikely that insurance will help cover the costs of the operation. This is due to the cosmetic nature of the procedure. However, this does not mean payment plans with the surgeon’s office will not be available to you.
The fee structure for this procedure is a bit unique but also quite affordable when compared with other facial plastic surgeries. Botox is administered in units, and it generally takes around a minimum of 30 to 40 units or higher to achieve the desired results. Pricing may vary based on your surgeon, your location, and the number of units used, but each unit will cost $15.
It is fairly common for a Botox procedure to incur a total cost of around $300 to $1000 or more. A few factors that play into the total cost include how much surface area is treated, the amount of product that was used, and the surgeon’s fee. Depending on how prominent the wrinkles and fine lines are, this alone could add to the cost, as these factors are directly correlated to how much product may be needed to achieve the results you are looking for.
In the case of Botox versus Juvederm, one product is not necessarily better than the other. However, both serve specific purposes. Botox is best suited for wrinkles that are visible when the face is moving, while Juvederm and other filler brands are the optimal choice for wrinkles that are consistently present when your face is relaxed. You should also know that Juvederm and other fillers tend to be more expensive, but deliver longer-lasting results than Botox.
Juvederm is the better solution for wrinkles that are consistent and stubborn. In contrast, Botox is seen as a more temporary solution that will need to be repeated more often. Although Juvederm offers results that could last one to two years, it may not always be the best choice based on the current condition of your skin. Overall, a lot of this comes down to personal preference. Both options have their advantages, but Juvederm offers longer term results at a higher cost per treatment.
For those who are looking to modify the shape of their face, jawline contouring is an excellent solution, as the results can range from minimal to much more dramatic. As with any cosmetic procedure, it is a sensitive operation that requires a lot of discussion and planning beforehand. Jawline contouring procedures may be non-surgical, surgical, or both.
A few key points surround the purpose of jawline contouring, as it aims to improve facial symmetry, proportionality, and overall youthfulness. Downtime after the procedure is relatively minimal, but it is possible to experience some bruising and swelling during recovery. Jawline contouring also includes the chin, and can help with reducing jowls, eliminating double chin features, and delivering a refined front and side profile.
Jawline contouring procedures can be relatively affordable compared with many other procedures. A jawline contouring surgery may cost roughly between $3,000 and $10,000 or more, depending on the work required. Filler starts at $800/syringe, and a minimum 2-4 syringes or more may be needed for adequate results (package specials start at $3000). Jawline contouring procedures are multi-faceted and have boosted the confidence of every one of Dr. Tina Ho’s patients.
You can expect the type of procedure and anesthesia that is chosen to also contribute to the overall cost. Unless the surgery is being performed for medical reasons, your insurance more than likely will not opt to cover the procedure. There are a number of materials that may be utilized in jawline contouring procedures, and these can vary based on the specific procedure used. Materials could include neurotoxins, fillers, and implants.

















